Share

Land for Sale in Ellis County,

Texas

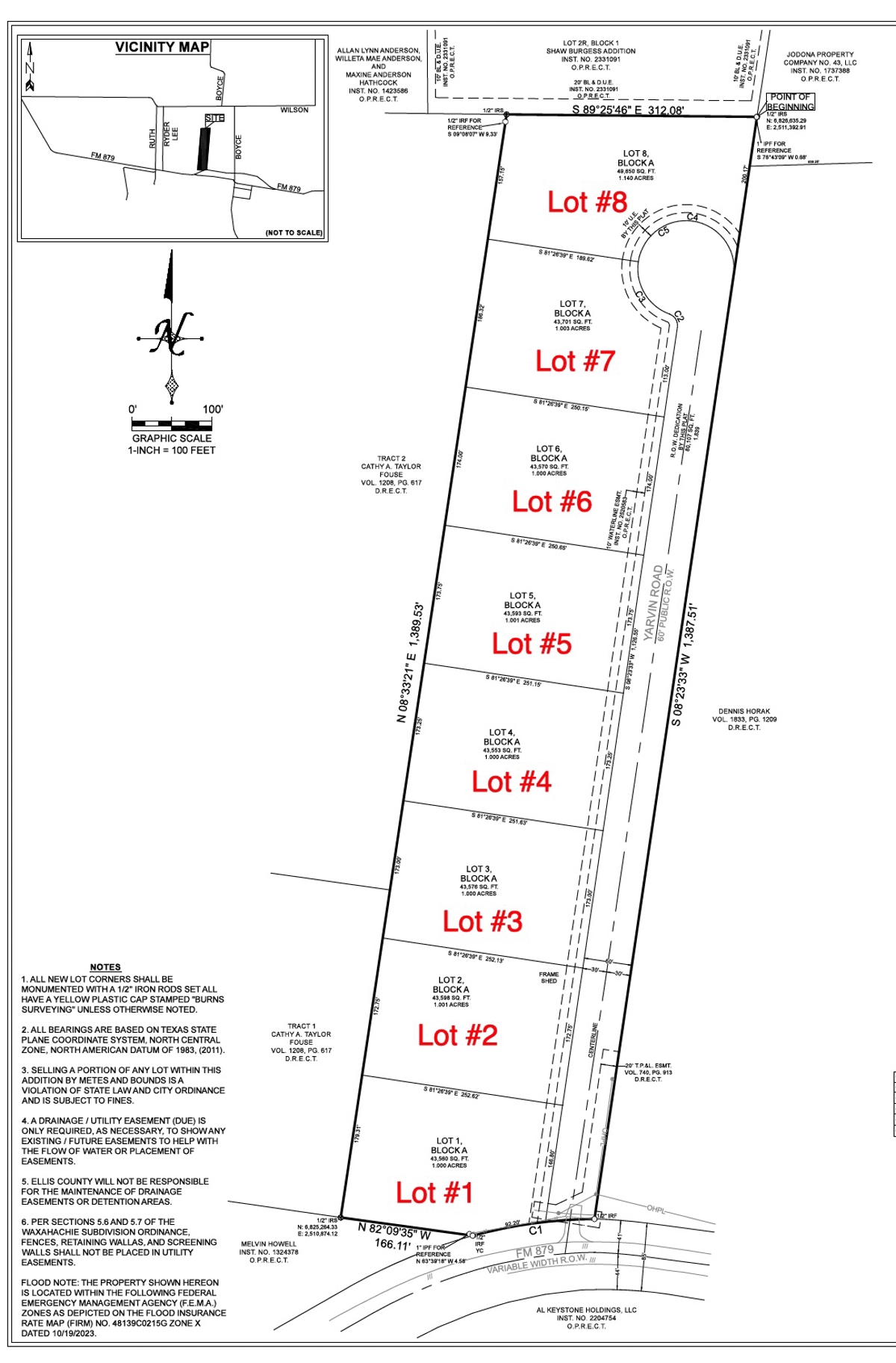
1+ Acre Homesites – Peaceful Country Living Near Hwy 287

$170,000

1.00 acres

TBD Constantine Court Lot #6,

LAND FOR SALE

Welcome to your future homesite in this brand-new subdivision featuring eight spacious 1+ acre lots. Located just off FM 879 with quick access to Hwy 287, this quiet community offers the perfect balance of privacy and convenience. Build your dream home outside of city limits, where there are no city taxes and room to breathe. With only eight lots, this neighborhood is small enough to know your neighbors, yet spread out enough to enjoy the peace and space of country living. Don’t miss this rare opportunity to own land in a growing area with easy access to Waxahachie, Midlothian, and the rest of the DFW Metroplex. Utilities available. Bring your own builder. Light restrictions are in place to protect property values. Secure your lot today and start planning your forever home.

Location Map

Land Property Features

Listing Agent

Jeff Taylor
(214) 789-2490

Call Mobile

CONTACT AGENT

Property Listing Number 42243-002797

Welcome to UC Land

Reset Password

Please enter your email address or username. You will receive a link to create a new password via email.

Register with UC Land

Last Name*
First Name*
Password*
Confirm Password*
Email*