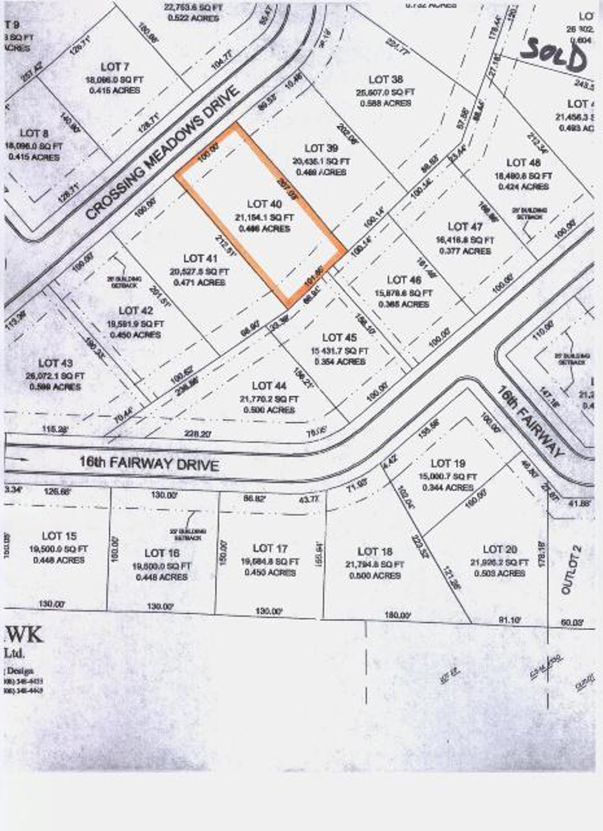
LOT 40 IS SITUATED THAT A NEW OWNER PLANNING TO BUILD A NEW HOME COULD CONSIDER A WALKOUT LOWER LEVEL IN THE BACK YARD AND A LEVEL DRIVEWAY WITH ZERO ENTRY COMING OFF OF CROSSING MEADOWS DR. CROSSING MEADOWS SUBDIVISION IS VIROQUA’S MOST COMPLETE SUBDIVISION OFFERING MUNICIPAL SEWER AND WATER, PAVED STREETS, CURB AND GUTTER, COUNTRY FEEL AND VIEWS, AND YET CLOSE TO DOWNTOWN. EACH LOT HAS GOLF CART ACCESS TO VIROQUA HILLS GOLF COURSE. PROTECTIVE COVENANTS APPLY TO PROTECT YOUR INVESTMENT.(THERE ARE ”NO” HOA FEES).











