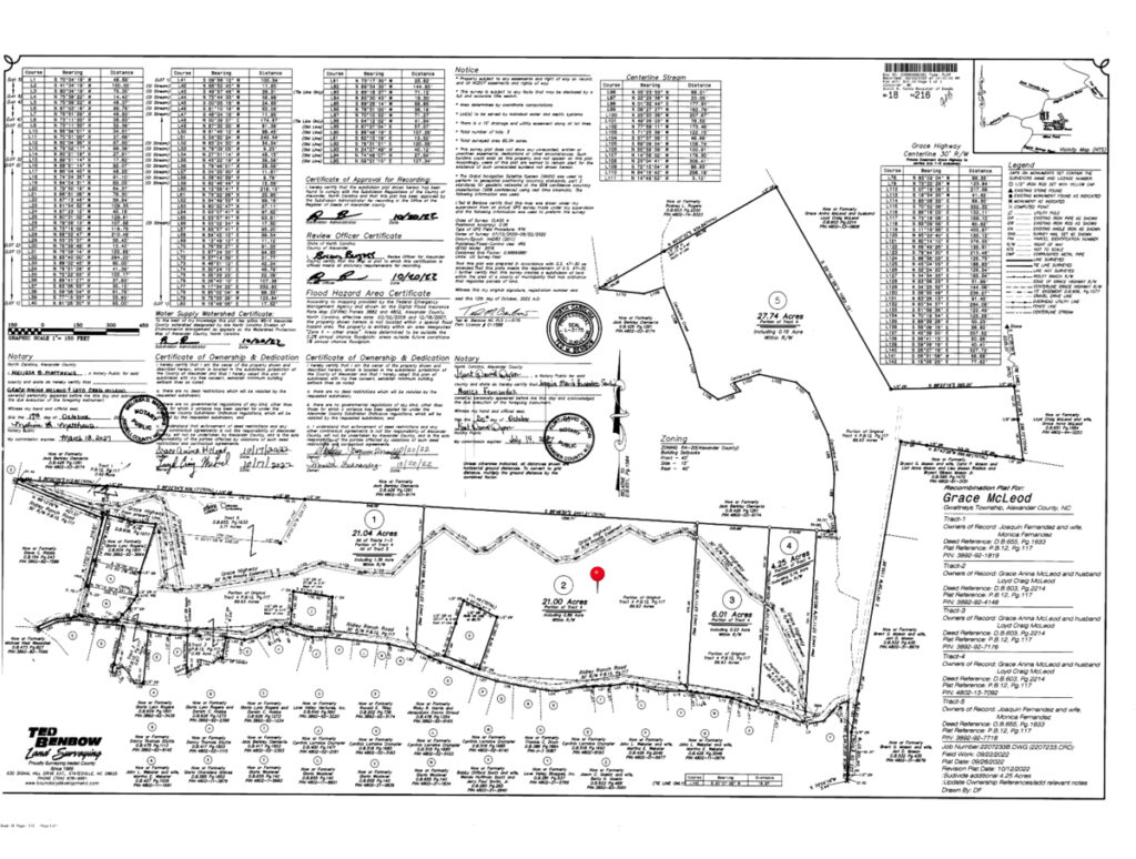
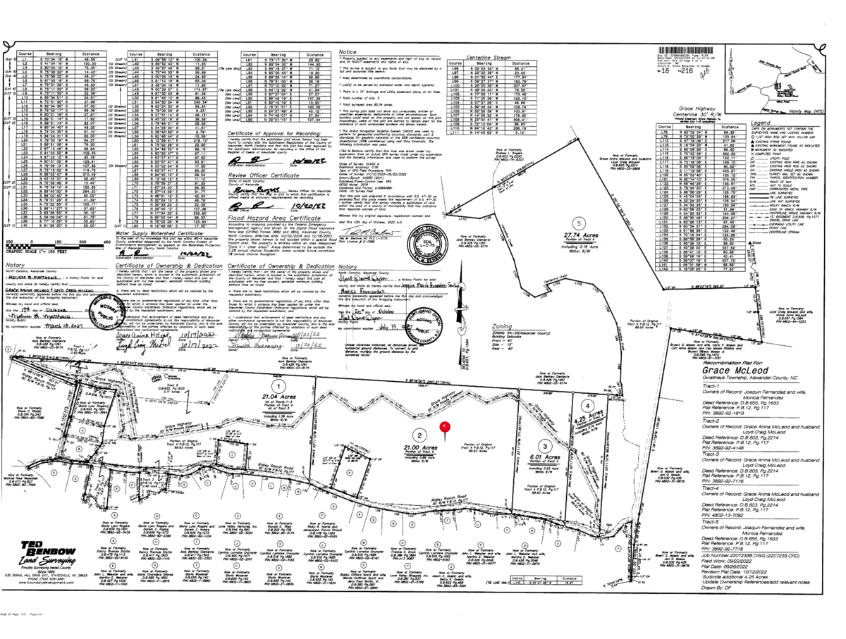
21 ACRES IN NC FOOTHILLS – NO HOA – 4BR PERC – R3 ZONING21-acre tract located on Ridley Ranch Rd in Hiddenite, Alexander County, NC, positioned in the Western North Carolina Foothills. This property features approximately 175 feet of elevation change (1,132’–1,310’) and classic foothills terrain offering privacy, seasonal view potential, and multiple possible homesite locations. Current soil report on file approved for a 4-bedroom home. No flood zone and no wetlands. No HOA. Zoned R3 (Residential District Three), permitting by right: single-family detached homes, two-family attached dwellings, manufactured homes (meeting county standards), accessory dwelling units (per regulations), family care homes, home occupations, agriculture, and forestry uses. Agriculture permitted by right. Horses and livestock allowed. Riding stables permitted. Short-term rental use not prohibited in this district Well and septic installation required. Road frontage on Ridley Ranch Rd. Rural setting with convenient access to nearby towns and outdoor recreation. Hiddenite is known for its foothills setting, outdoor recreation opportunities, and small-town environment while remaining within reasonable driving distance to Hickory, Statesville, and Charlotte. Mountain dirt road access, 4WD recommended. Please contact Agent Kayla Carder for more information!NEARBY CITIES: Hickory, NC – approx. 25 miles (35 min)Statesville, NC – approx. 28 miles (40 min) Charlotte, NC – approx. 63 miles (1 hr 15 min) Boone, NC – approx. 45 miles (1 hr) NEARBY AIRPORTS: Charlotte Douglas International Airport (CLT) – approx. 65 miles Piedmont Triad International (GSO) – approx. 75 miles Asheville Regional Airport (AVL) – approx. 110 miles Concord-Padgett Regional Airport (USA) – approx. 60 miles NEARBY ATTRACTIONS: Lake Hickory – approx. 20 miles Stone Mountain State Park – approx. 35 miles Blowing Rock / Blue Ridge Parkway – approx. 50 miles South Mountains State Park – approx. 45 miles
























