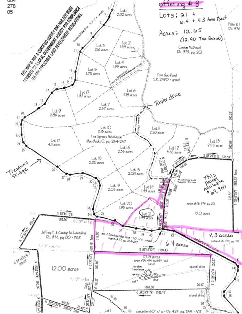
For Sale total of +/- 35 acres being sold WELL below tax value! Discover an exciting opportunity to own approximately 35± acres of mountain land in Moravian Falls, North Carolina. This property is being sold as a traditional listings and includes multiple individual lots—specifically Lots 2, 6, 7, 8, 9,11,14,15,16,19,20,21 and 6.4 & 4.3 acre tracts—combined as one offering known as Cove Gap Rd Multiple lots. Located in a pre-platted subdivision, the land offers road frontage on Cove Gap Road, a state-maintained secondary road, with additional access via non-state maintained roads known as Taylor Drive and Treadway Ridge. The setting offers a quiet, rural atmosphere with wooded surroundings and mountain views. Whether you’re looking to build a mountain retreat, establish a homestead, or hold for future use, this property provides space and flexibility. Don’t miss this opportunity to own land in the Moravian Falls area of Wilkes County.







































