Share

Land for Sale in Wilkes County,

North Carolina

Offering #3 – Building Site in Wilkes County NC

$49,900

12.90 acres

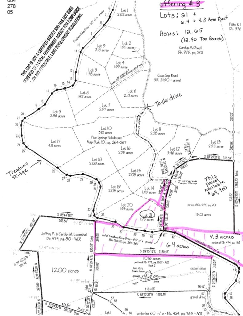
Offering #3 - Cove Gap Road,

LAND FOR SALE

Wooded Building Lots for Sale in Moravian Falls NC

Dreaming of escaping the city life? Look no further than
these 5 offerings in North Carolina. 
Whether you are seeking
an off-grid homestead, or a weekend getaway these properties offers a multitude
of possibilities for those who appreciate the beauty of nature and the
tranquility of a rustic setting. Purchase one or multiple offerings to get your
desired acreage. This is known as Offering #3.

Offering #3
Discover an exciting opportunity to own this +/- 12.9 acre tract of mountain
land in Moravian Falls, NC. This property is known as
Offering #3. It includes Lot 21, along with an additional +/- 6.4 acre tract
and +/- 4.3 acre parcel, all combined into a single offering. The land is
accessible via the non-state maintained road known as Taylor Drive, offering a
secluded setting while still being part of a pre-platted subdivision. The
property features wooded surroundings, mountain views, and a quiet, rural
atmosphere – great for building a retreat, establishing a homestead, or holding
as an investment. Don’t miss this opportunity to own land in the desirable
Moravian Falls area of Wilkes County.

Purchase only Offering #3 @ $60,000 or all three offerings for $149,900
Offering #1, #2 & #3 – Cove Gap Rd., Moravian Falls, NC 28697


Click Here for
Interactive Map  
Click Here for
Property Video  (Previously an online auction that did not meet reserve and is now a traditional listing)

DIRECTIONS: Offering 1, 2 & 3
–  Take S. NC Hwy 16, Turn Left on Davis Rd., Turn Left onto Pores Knob
Rd. Continue on Cove Gap Road to Taylor Road. The entrance to
Taylor Rd on the right will show the road frontage and assist you to view
lower side of offering #1 &#2.  To view the upper side of the
property, return to the stop sign at Pores Knob Rd., Turn left then an
immediate left on to Treadway Ridge Dr.  Offering #2 and #3 on
left.

CONTACT: Realtor Sharon Roseman with United Country Big
6 Properties at (828) 320-4726 or email 
SharonCRoseman@gmail.com.


***additional 10.8 Acre adjoining tract for sale by separate owner see 0 Taylor Road $69,900

Location Map

Land Property Features

Listing Agent

Sharon Roseman
(828) 320-4726

Call Mobile

CONTACT AGENT

Property Listing Number 32121-101096

Welcome to UC Land

Reset Password

Please enter your email address or username. You will receive a link to create a new password via email.

Register with UC Land

Last Name*
First Name*
Password*
Confirm Password*
Email*