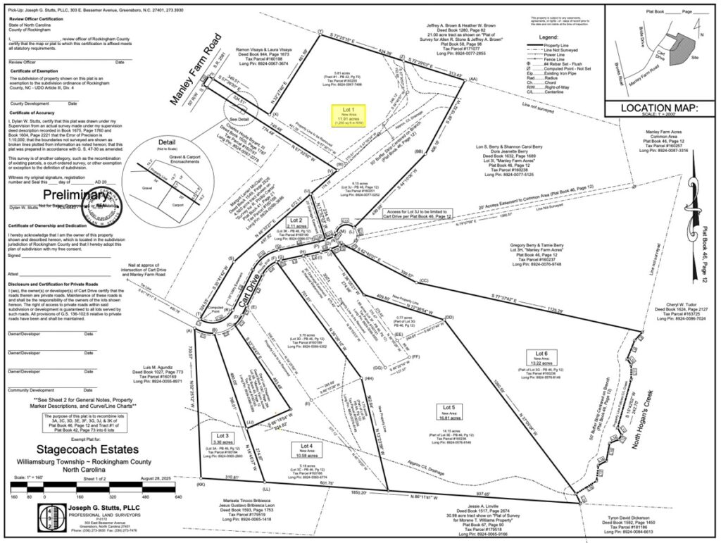
11.91 wooded acres for
sale in Reidsville, NC—prime country land ready for your dream home! Seller
financing is available. This large lot features a cleared homesite and an
access lane already in place, making new construction easy. The property has
been perked, surveyed, and is ready to begin building. There is a mixture of
young and old growth hardwoods and a creek flows through near the center of the
property, providing a classic country setting for your future house, cabin, or
getaway.
Enjoy easy access from both Manley
Farm Rd and Cart Dr. in Rockingham County. Reidsville offers the best of rural
North Carolina with fast connections to Greensboro, Danville, and
Winston-Salem. This is your chance to own country land with privacy, water, and
endless possibilities—ideal for investment, building a home, or enjoying as a
weekend escape.
Perfect for buyers searching for:
Buildable land in the country
Acreage with a creek in North Carolina
Cleared homesite with privacy
Land for sale with access in Reidsville, NC
Don’t miss your chance—properties
like this are in high demand!
















